Notice of Complete Application for Plan of Condominium and Zoning By-Law Amendment - File #15CD-21001
The County of Peterborough has received a complete application for a Plan of Condominium in accordance with Section 51(17) and 51(19.1) of the Planning Act, as per Section 9(2) of the Condominium Act and has been assigned file number 15CD-21001.
The Corporation of the Township of Otonabee-South Monaghan has received a complete application for a Zoning By-law Amendment (ZBLA) in accordance with Section 34(10.4) of the Planning Act and has been assigned file number Z12-21.
Public Meeting
A future public meeting will be scheduled on these applications, with notification provided in accordance with the requirements of the Planning Act.
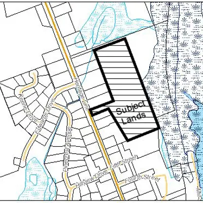
Location
A key map indicates the location of the lands which are subject to the applications. The lands are legally described as Lots 13 & 14, Concession 6; Parts 2 and 3 and Part of Part 1, RP 45R-335; Otonabee Ward, Township of Otonabee-South Monaghan.
Purpose and Effect of the Applications
The purpose of the plan of condominium application was originally to permit a twenty (20) lot residential development consisting of single-detached dwellings with private on-site septic facilities and municipal water services, and will be accessed by an internal private road/driveway. Through agency and peer review process, the number of lots has been reduced and the proposal is now for a sixteen (16) lot residential development.
The subject lands are designated part of the Hamlet – Rural Settlement Area of Keene and zoned Future Development Zone 4 (FD-4). The zoning by-law amendment is required and special Hamlet Residential (HR) zone is contemplated to address the configuration of the internal driveway and irregular lot boundaries.
Supporting Studies and Materials
In support of the applications, the following documents were submitted:
- Site Plan, prepared by D.M. Wills, dated September 2021;
- Planning Justification Report, prepared by KMD Planning & Consulting Inc, dated September 2021;
- Preliminary Stormwater Management Report, prepared by D.M. Wills Associates Ltd., dated August 2021;
- Erosion Hazard Assessment Summary, prepared by D.M. Wills Associates Ltd., dated August, 2021;
- Functional Servicing Report, prepared by D.M. Wills Associates Ltd., dated September, 2021;
- Geotechnical Investigation Report, prepared by PRI Engineering, dated September 2021;
- Hydrogeological Report, D.M. Wills Associates Ltd., dated August, 2021;
- Environmental Impact Study, prepared by Cambium Inc., dated September, 2021;
- Stage 1 and 2 Archaeological Assessment, prepared by Earthworks Archaeological Services Inc., dated September 2021; and,
- Traffic Brief, prepared by Asurza Engineers, dated August, 2021.
Second Submission, July 2022
As a result of peer review and agency comments, the following documents were submitted:
- Draft Plan, prepared by D.M. Wills, dated June 2022
- Preliminary Stormwater Management Report, prepared by D.M. Wills Associates Ltd., dated June 2022
- Erosion Hazard Limit Study, prepared by D.M. Wills Associates Ltd., dated June 2022
- Functional Servicing Report, prepared by D.M. Wills Associates Ltd., dated June 2022
- Geotechnical Investigation Report, prepared by PRI Engineering, dated July 2022
- Hydrogeological Study, D.M. Wills Associates Ltd., dated June 2022
- Servicing and Grading Plan, D.M Wills Associates Ltd., dated June 2022
Third Submission, December 2022
As a result of peer review and agency comments, the following documents were submitted:
- Draft Plan of Condominium, prepared by D.M. Wills, dated October 2022
- Comment Response Matrix, prepared by D.M. Wills, dated November 2022
- Preliminary Stormwater Management Report, prepared by D.M. Wills, dated October 2022
- Preliminary Servicing and Grading Plan, prepared by D.M. Wills, dated October 2022
- Functional Servicing Report, prepared by D.M. Wills, dated November 2022
- Hydrogeological Study, prepared by D.M. Wills, dated November 2022
Links throughout this notice can be used to access the documents, or they can be downloaded from the bottom of this page. Peer review of the supporting documents will be coordinated through the County and Township offices. A public meeting as required under the Planning Act will be scheduled following the completion of the peer review of the supporting documents.
The Right to Appeal
If a person or public body would otherwise have an ability to appeal the decision of the Council of the County of Peterborough in respect of the proposed Plan of Condominium, or to the decision of the Council of the Township of Otonabee-South Monaghan in respect to the proposed Zoning By-law Amendment to the Ontario Land Tribunal but the person or public body does not make oral submissions at a public meeting or make written submissions to the
County of Peterborough or Township of Otonabee-South Monaghan before the approval authorities give or refuse to give approval to the Plan of Condominium or Zoning By-law Amendment, the person or public body is not entitled to appeal the decision.
If a person or public body does not make oral submissions at a public meeting or make written submissions to the County of Peterborough in respect of the proposed Plan of Condominium or to the Township of Otonabee-South Monaghan in respect of the Zoning By-law Amendment before the approval authorities make a decision regarding the Plan of Condominium or Zoning By-law Amendment, the person or public body may not be added as a party to the hearing of an appeal before the Ontario Land Tribunal unless, in the opinion of the Tribunal, there are reasonable grounds to do so.
Important Legislation Changes - Public Meeting and Appeal Rights
Please note that Bill 23, the More Homes Built Faster Act, made changes to Section 51(20) of the Planning Act which no longer requires Municipalities to hold public meetings for draft plans of subdivision/condominium.
Further, Bill 108, the More Homes, More Choices Act, made changes to Section 51(39) of the Planning Act which no longer permits third party appeals to decisions for draft plans of subdivision/condominium. Instead, appeals are restricted to "specified persons" which includes the province, the Municipality, the applicant, public agencies and utility companies.
To be Notified
If you wish to be notified of the decision for any or all of the applications, you must make a written request to the Township of Otonabee-South Monaghan or the County of Peterborough at the addresses noted below.
Contacts
|
Planning Department |
Township of Otonabee-South Monaghan |
15CD-21001 - Site Plan, prepared by D.M. Wills
2nd Submission - Draft Plan of Condominium, June 2022
2nd Submission - Erosion Hazard Limit Study, June 2022
2nd Submission - Functional Servicing Report, June 2022
2nd Submission - Geotechnical Investigation, June 2022
2nd Submission - Hydrogeological Study, June 2022
2nd Submission - Preliminary Stormwater Management Report, June 2022
2nd Submission - Servicing and Grading Plan, June 2022
3rd Submission - 15CD-21001 Draft Plan of Condominium
3rd Submission - Comment Response Matrix
3rd Submission - Functional Servicing Report
3rd Submission - Hydrogeological Report
3rd Submission - Preliminary Servicing and Grading Plan
3rd Submission - Preliminary Stormwater Management Report
Environmental Impact Study, prepared by Cambium Inc.
Erosion Hazard Assessment Summary, prepared by D.M. Wills Associates
Functional Servicing Report, prepared by D.M. Wills Associates
Geotechnical Investigation Report, prepared by PRI Engineering
Hydrogeological Report, prepared by D.M. Wills Associates
Planning Justification Report, prepared by KMD Planning & Consulting
Preliminary Stormwater Management Report, prepared by D.M. Wills Associates
Traffic Brief, prepared by Asurza Engineers
Contact Us
Contact Peterborough County
470 Water Street
Peterborough, Ontario, K9H 3M3
Monday – Friday
8:30am – 4:30pm
Phone: 705-743-0380/1-800-710-9586
Fax: 705-876-1730
info@ptbocounty.ca